Vì sao đường di chuyển của bão lại tuân theo một quy luật nhất định?

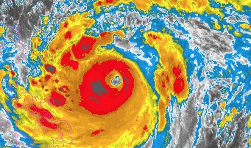
Sau mỗi lẩn liên tục nghe báo cáo vị trí trung tâm bão, bạn hãy đánh dấu vị trí của cơn bão trên bản đồ, bạn sẽ phát hiện ra rằng, tất cả mọi tuyến đường đi của trung tâm cơn bão, tuy cũng có một số thay đổi, nhưng trên cơ bản vẫn là tuyến đường có hình parabol và tuyến đường thẳng, bão di chuyển rất có quy luật trên Trái đất. Dự báo của đài khí tượng thuỷ văn trên cơ bản là dựa vào quy luật di chuyển của bão để đưa ra dự báo.

Có hai loại lực khiến cho bão chuyển động, đó là nội lực và ngoại lực. Nội lực là lực sinh ra trong bản thân bão. Vì bản thân bão là luồng không khí xoáy tròn ngược với hướng của kim đồng hồ, phương hướng chuyển động của từng chất điểm trong luồng không khí đã chịu ảnh hưởng của hiện tượng Trái đất tự quay quanh và phát sinh ra phương hướng lệch. Tác dụng của phương hướng lệch này ở bán cẩu Bắc, làm cho các chất điểm trong luồng không khí có xu hướng chuyển động lệch về phía bên phải, hơn nữa, vĩ độ ngày càng cao, tác dụng của hướng lệch ngày càng lợi hại, điều này khiến cho gió bão từ hướng Bắc thổi sang hướng Tây vốn có nhiều chất điểm trong không khí đã dịch chuyển một lượng sang phía Bắc; gió bão từ hướng Nam thổi sang hướng Đông vốn có ít chất điểm trong không khí đã dịch chuyển một lượng sang phía Nam. Như thế, chất lượng của không khí ở phía Nam cơn bão lớn hơn ở phía Bắc, bão có trọng lượng tịnh dịch chuyển hướng Bắc. Trọng lượng tịnh này có thể quy vào nội lực chủ yếu trong đường di chuyển của cơn bão. Tiếp theo, không khí trong khu vực bão là không khí bay lên cao. Không khí trên cao dưới tác dụng của lực Coriorit (tác dụng chuyển động theo phương lệch của Trái đất), có xu hướng chuyển động sang hướng Tây, đây cũng có thể quy vào nội lực của bão. Tác dụng tổng hợp của hai loại nội lực này khiến cho bão có xu hướng chuyển động hướng Bắc lệch Tây.

Ngoại lức là động lực thúc đẩy cơn bão khi luồng không khí bao quanh cơn bão vận động trên một qui mô lớn. Vào mùa hạ và mùa thu, trên biển Thái Bình Dương thường có một luồng không khí áp cao độc lập (thường được gọi là khí áp cao phụ nhiệt đới), hướng gió ở bốn bề khí áp cao này có mối quan hệ với con đường di chuyển của bão. Bão sinh ra ở vùng phụ cận phía Nam của khí áp cao Thái Bình Dương, ở đó có gió Đông thổi thế là cơn bão thịnh hành hướng về phía Tây.

Nội lực và ngoại lực kết hợp lại với nhau khiến cho phương hướng di chuyển của cơn bão thường theo một quy luật nhất định. Nhưng trong quá trinh di chuyển của nó chịu ảnh hưởng rất lớn cuả áp cao phụ nhiệt đới ở biển Thái Binh Dương. Trong thời kỳ đẩu, bão ở mặt Nam của cao áp phụ nhiệt đới, nó thường di chuyển theo hướng Tây Bắc, một khi đến vùng ven phía Tây của dải khí áp cao phụ nhiệt đới, sẽ tiến vào phía Tây Bắc của trung tâm áp cao phụ nhiệt đới, lúc này, ngoại lực mà nó thu được sẽ thay đổi, thúc đẩy nó chuyển sang hướng Đông, cùng kết hợp với nội lực, khiến cho phương hướng của bão chuyển sang hướng Tây Bắc. Do cường độ của áp cao phụ nhiệt đới, kéo dài về phía Tây và thu hẹp ở phía Đông, cùng với tinh trạng ngắt quãng khác nhau nên tuyến đường đi của bão cũng không giống nhau. Nếu dải áp cao phụ nhiệt đới dài ra ở phía Tây đồng thời được tăng cường, đường đi của bão cũng lệch sang hướng Nam, tiến thẳng sang phía Tây; nếu dải áp cao phụ nhiệt đới ở phía Bắc của bão lui sang phía Đông hoặc đứt đoạn, bão có thể di chuyển sang phía Bắc nơi có chỗ đứt gãy hoặc ở phía Tây vùng áp cao, sau đó chuyển động vòng sang phía Đông Bắc. Nói tóm lại, đường đi của bão được hình thành theo đường Parabol.

Trong quá trinh di chuyển, bão vừa xoay chuyển vừa đi, mà khu vực gió lớn của nó càng di chuyển càng lớn, khi được hình thành trên vùng biển nhiệt đới, đường kính của nó rất lớn, đạt khoảng 100.000 mét, sau đó dẩn dẩn được phát triển, khi di chuyển nơi phụ cận 30 độ vĩ Bắc, đường kính tăng gấp 10 lẩn so với đường kính ban đẩu, sau đó lại tiếp tục di chuyển lên phía trước, lực của bão vi thế giảm dẩn, phạm vi của gió cũng giảm xuống, cuối cùng là mất hẳn.

Binh thường bão chỉ đi qua vùng sát biên giới Trung Quốc, sau đó di chuyển sang Nhật Bản, cho nên nó chỉ ảnh hưởng đến các tỉnh Quảng Đông, Hải Nam, Quảng Tây, Đài Loan, Phúc Kiến, Triết Giang, Giang Tô và thành phố Thượng Hải. Ở vùng duyên hải Sơn Đông và bán đảo Liêu Đông cũng có lúc chịu một số ảnh hưởng, nhưng bão rất ít khi ảnh hưởng đến các tỉnh phiá Bắc và các tỉnh trong nội địa. Chỉ có khi vùng phụ cận phía Tây của dải cao áp phụ nhiệt đới Thái Bình Dương đổ vào khu vực Giang Nam Trung Quốc thì bão mới đổ vào vùng duyên hải Đông Nam và tiến vào vùng nội địa. Vì sao sau khi đổ bộ vào đất liền, cường độ nhanh chóng yếu đi còn mưa lớn thì không giảm? Dapan

Bão được sinh ra trên biển, một cơn bão trưởng thành có sức gió vô cùng lớn, sức gió từ cấp 12 trở lên có thể bốc đẩu ngọn sóng lên mấy chục mét, thổi bay bất cứ chiếc xe lớn n ào có tải trọng lên tới cả vạn tấn. Sau khi đổ bộ vào đất liền, bão vẫn măc sức phá hoại ở các khu vực ven biển, đánh bật gốc cây, làm đổ nhà, thổi bay hoa màu. Nhưng một khi đã tiến sâu vào trong lục địa, chịu ảnh hưởng của lực ma sát với mặt đất, tốc độ gió dẩn dẩn bị giảm nhỏ xuống, cường độ cũng yếu dẩn. Lúc này nó mới trút một cơn mưa lớn xuống mặt đất khiến cho núi lở, khắp nơi đẩy nước, phá hoại đê kè, đồng ruộng ngập đẩy nước. Có lẩn sau khi bão đổ bộ vào đất liền, một tỉnh cách xa biển như Hà Nam, trong vòng mấy ngày liền tỉnh đó phải hứng một lượng mưa như trút xuống hơn 1000 mm khiến cho cả mấy huyện gặp tình cảnh nhà cửa ngập nước đến đỉnh.

Xem thêm